더이글피싱은 선내 개인쿨러+왕얼음+아침매니저표라면+손질무료+진공포장 써비스합니다더이글피싱 대구라바 조황입니다 시작하자마자 피딩~~사이즈 괜찮은 대구들과 탱글이사이즈들이우당탕~우당탕~ 사진찍을 생각도 못하고 뜰채질 하기 바빴네요 그래도 고기가 나와주니 즐겁습니다~한차례 피딩을 맞이하고 낱마리지만 꾸준하게 나와주더니 조류도 멈추고... 거기에 짝물까지 소강모드....포인트 이동하면서 낱마리모드~그래도 포인트 마다 사이즈대구들이 나와주네요~그렇게 입항까지 낱마리 잡다 입항했습니다오랜만에 만쿨자도 나오시고~전원 손맛보시고 드실만큼은 잡으셨네요~오늘도 더이글과 함께해주셔서 감사드리고 수고하셨습니다 https://theeagle.sunsang24.com/ship/schedule_fleet/*** 고성 더이글피싱 예약 안내 ***예약문의 : 010-5372-4344오시는길 : 강원도 고성군 죽왕면 오호항홈페이지 : http://theeagle.sunsang24.com/
더이글피싱 함선장입니다 오늘은 어구가자미 졸업식 다녀왔습니다~아침에는 줄도 타주며 좀 나와주더니 아침타임 지나며 낱마리로 나와주네요그래도 지루하지 않게 사이즈 좋은 열기도 종종 줄타주고~~청어들도 힘들정도로 줄타주네요~~다잡아아닌 다잡아가 되었습니다~가자미, 열기, 청어, 임연수, 횟대까지~딱 드실만큼 평균 10키로~ 최대 13키로 잡아왔네요~졸업식답게 조사님들 전원 너무 즐겁게 낚시 즐겨주셔서 선장도 기분 좋은 출조였습니다~내일 대구라바 출항 합니다 자리 여유 있으니 함께 하시지요~~ https://theeagle.sunsang24.com/ship/schedule_fleet/*** 고성 더이글피싱 예약 안내 ***예약문의 : 010-5372-4344오시는길 : 강원도 고성군 죽왕면 오호항홈페이지 : http://theeagle.sunsang24.com/
아침라면+선내 개인쿨러+왕얼음+손질+진공포장무료써비스로 진행해드렸습니다♡♡더이글피싱 함선장입니다 오늘은 락피싱&광캐 다녀왔습니다~결과는 뭐... 꽝! 이라고 해야겠지요오전내내 조류 바람 전혀없으니 제자리...탐색도 않되고 수온이 너무 낮아서인지 활성도도 떨어지고... 돌삼이 몇마리 베이비참우럭 한마리...할말이 없습니다... 사전에 조황이 없을것을 생각하여 대구라바 준비했었지요 대구포인트 이동~그런데 대구도 아침 피딩이 끝나서인지 탱글한방망이 몇수뿐...그러다 남동풍이 불기 시작하여광어캐스팅 도전~숏바이트 몆번 받고 한마리 끌어올렸습니다아직 수온도 낮고 개체수가 많지는 않은거 같네요~겨우 광어 한마리 얼굴보고 입항했습니다오늘 조사님께 죄송스런 맘뿐입니다~못난선장 탓에 꽝조사가 되어버렸네요...락&광캐는 선장이 좀더 열심히 탐색후 출조 잡겠습니다~오늘 하루도 정말로 고생많으셨고 감사합니다 https://theeagle.sunsang24.com/ship/schedule_fleet/*
더이글은 아침라면+선내개인쿨러제공+왕얼음+손질+진공포장모두 무료써비스로 진행하고 있습니다더이글피싱 함선장입니다 오늘은 대구라바 다녀왔습니다하루종일 바람에 파도에 고생하셨습니다고생하신 만큼 조과가 좋았으면 좋았을텐데...종일 낱마리 입질이였습니다잘잡으신분이 6마리...다행이 전원 손맛은 보셨고 겨우 찬거리 잡으셨네요~오늘 유독 빠짐이 많았었는데요 이런날은 드랙 조절이 중요합니다~좋지않은 기상과 조과속에 고생들 하셨고 마지막까지 너무 열심히 해주셔서 정말 감사합니다~ https://theeagle.sunsang24.com/ship/schedule_fleet/*** 고성 더이글피싱 예약 안내 ***예약문의 : 010-5372-4344오시는길 : 강원도 고성군 죽왕면 오호항홈페이지 : http://theeagle.sunsang24.com/
더이글피싱 함선장입니다~오늘은 어구가자미 낚시 다녀왔습니다아주 훌륭합니다~아침에는 뜬어군에 줄줄이~~ 10시 이후부터는 바닥으로 내려 앉으며 바닥에서 줄줄이~중간에 이벤트 고기로
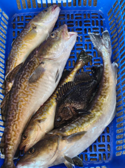
더이글피싱은 아침라면+개인쿨러+왕얼음+대구손질+진공포장 모도 무료로 써비스해 드립니다~^^더이글피싱 대구라바 조황입니다 오늘은 큰 피딩이나 우당탕없이 낱마리로 꾸준하게 나와주었습니
더이글 피문어출조는 손질,진공포장 무료로 진행합니다~더이글피싱 함선장입니다 오늘도 대왕피문어낚시 다녀왔습니다어제와 다르게 문어들이 얼굴을 쉽게 보여주지 않네요~진짜 정신건강에 해로운 낚시가 맞습니다.열한분 모시고 출항하여 2키로급 2마리, 5키로급 1마리, 1키로급 1마리 총 4마리 나와주었습니다수온이 너무 낮아 문어 활성도가 떨어진거 같습니다...아침에 너울이 심해 조사님들 멀미도하시고 정말 고생많으셨습니다 https://theeagle.sunsang24.com/ship/schedule_fleet/*** 고성 더이글피싱 예약 안내 ***예약문의 : 010-5372-4344오시는길 : 강원도 고성군 죽왕면 오호항홈페이지 : http://theeagle.sunsang24.com/
더이글은 아침라면+개별쿨려,왕얼음+손질+진공포장모두 써비스로 진행해 드립니다더이글피싱 함선장입니다오늘은 대왕피문어낚시 다녀왔습니다결과부터 말씀드리면 12명 출항하여 총7마리 나와주었습니다 8키로,7키로,5키로,1~2키로 4마리사이즈 괜찮은 문어들도 나와주고 인원 대비 50%이상 조과면 나쁘지않은 조과였다 생각합니다아침에 너울과 비바람에 고생들 하셨고 감사합니다~내일 문어낚시 한자리 남았습니다 함께 하시죠~오전에 잡은 문어는 인물조과사진이 없네요 비가와서 찍지않았읍니다 https://theeagle.sunsang24.com/ship/schedule_fleet/*** 고성 더이글피싱 예약 안내 ***예약문의 : 010-5372-4344오시는길 : 강원도 고성군 죽왕면 오호항홈페이지 : http://theeagle.sunsang24.com/
더이글피싱은 아침매니저표라면,개인쿨러,왕얼음,손질,진공포장무료써비스로 진행중입니다~^^더이글피싱 대구라바 조황입니다 오전에 배가 조금씩 밀리면서 대구들이 나와줄거 같으면서도 낱마리
더이글피싱은 아침매니저표라면, 개인쿨러,왕얼음,손질,진공포장무료써비스로 진행중입니다~더이글피싱 대구라바 조황입니다 아침에는 조류가 전혀 없어도 낱마리로 몇마리 나오더니...그후 입









