조황관리HOME / 조황관리 / 상세정보

제목 : 오호항 더이글피싱 8/3일욜 대구라바 굿
등록일 : 2025-08-03
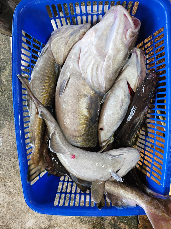
더이글피싱 대구라바 조항입니다

요즘 휴가철을 맞아 체험낚시 출항만 하다 오랜만에 네분 모시고 대구라바 다녀왔습니다
아침까지는 조류와 바람까지 좋아 덩어리부터 방망이까지 꾸준이 나와주더니 조류와 바람이...짝물... 입질이 슬슬 끊어지네요 다들 드실만큼 잡으셨다고 12시쯤 조기입항 결정하셔서 일찍 입항하였습니다
더운날씨에 고생들 하셨고 감사합니다

더이글피싱은 조사님들 짐을 덜어드리고자 대형쿨러 및 왕얼음 제공하며 손질후 진공포장까지 깔끔하게 해드립니다

BandPhoto_2025_08_03_17_29_58_2.jpg


BandPhoto_2025_08_03_17_29_58_1.jpg


BandPhoto_2025_08_03_17_29_58_4.jpg


BandPhoto_2025_08_03_17_29_58_3.jpg


BandPhoto_2025_08_03_17_29_58_7.jpg


BandPhoto_2025_08_03_17_29_58_6.jpg


BandPhoto_2025_08_03_17_29_58_5.jpg


BandPhoto_2025_08_03_17_29_58_12.jpg


BandPhoto_2025_08_03_17_29_58_9.jpg


BandPhoto_2025_08_03_17_29_58_10.jpg


BandPhoto_2025_08_03_17_29_58_11.jpg


BandPhoto_2025_08_03_17_29_58_8.jpg


BandPhoto_2025_08_03_17_29_58_13.jpg


BandPhoto_2025_08_03_17_29_58_14.jpg


BandPhoto_2025_08_03_17_29_58_15.jpg


BandPhoto_2025_08_03_17_29_58_16.jpg


BandPhoto_2025_08_03_17_29_58_17.jpg

 





*** 고성 더이글피싱 예약 안내 ***


예약문의 : 010-5372-4344

오시는길 : 강원도 고성군 죽왕면 오호항

홈페이지 : http://theeagle.sunsang24.com/


모바일.gif


Top