조황관리HOME / 조황관리 / 상세정보

제목 : 오호항 더이글피싱 어구가자미 1월9일
등록일 : 2026-01-09
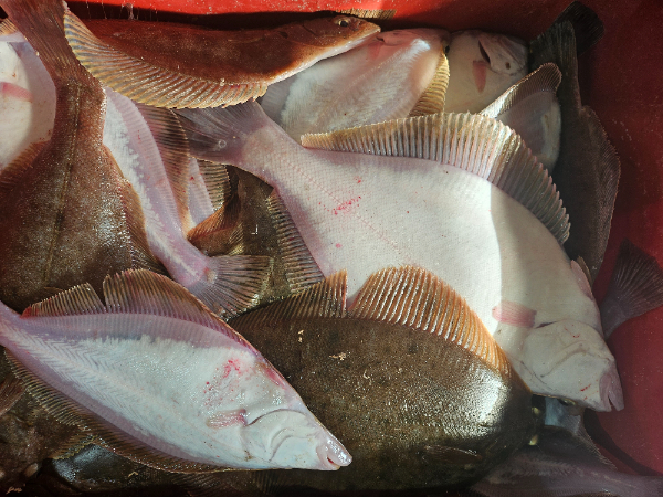
더이글피싱 어구가자미조황입니다 

오늘은 날씨도 좋고 조과도 좋네요~
아침부터 입항까지 꾸준하게 2~4마리씩 가끔씩 줄타주며 나와주었습니다
손 빠르신분은 20키로 이상씩들 잡으셨네요~
씨알도 괞찬고 마릿수도 좋은 하루였습니다
조사님들 손맛보시냐 수고하셨고 감사합니다 
주말은 풍랑주의보가 잡혀있어 쉬어갑니다~

BandPhoto_2026_01_09_19_29_58_17.jpg


BandPhoto_2026_01_09_19_29_58_18.jpg


BandPhoto_2026_01_09_19_29_58_14.jpg


BandPhoto_2026_01_09_19_29_58_15.jpg


BandPhoto_2026_01_09_19_29_58_16.jpg


BandPhoto_2026_01_09_19_29_58_12.jpg


BandPhoto_2026_01_09_19_29_58_13.jpg


BandPhoto_2026_01_09_19_29_58_10.jpg



BandPhoto_2026_01_09_19_29_58_7.jpg





BandPhoto_2026_01_09_19_29_58_4.jpg


BandPhoto_2026_01_09_19_29_58_5.jpg


BandPhoto_2026_01_09_19_29_58_1.jpg


BandPhoto_2026_01_09_19_29_58_2.jpg

20260109_143959(0).jpg


20260109_143959.jpg


20260109_143954.jpg


20260109_143950.jpg


20260109_143939.jpg



BandPhoto_2026_01_09_19_29_58_19.jpg

BandPhoto_2026_01_09_19_29_58_20.jpg

 

 








*** 고성 더이글피싱 예약 안내 ***


예약문의 : 010-5372-4344

오시는길 : 강원도 고성군 죽왕면 오호항

홈페이지 : http://theeagle.sunsang24.com/


모바일.gif


Top