조황관리HOME / 조황관리 / 상세정보

제목 : 오호항 더이글피싱 2월10일 어구가자미조황
등록일 : 2026-02-10
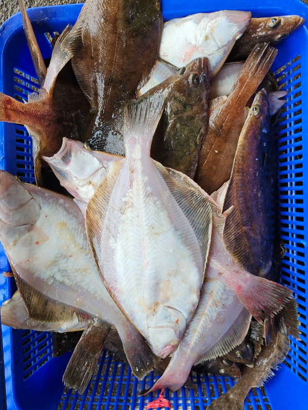
더이글피싱 어구가자미조황입니다 
오전에는 뜬어군 오후에는 바닥어군에서 나와주었습니다
뜬어군에서는 사이즈 좋은 가자미가 2~4마리씩~오후 바닥어군에서는 1~2마리 낱마리로 나와주네요
오전에는 거의 뜬어군이였는데요 전동릴 수심체크 필수 입니다~
큰 조과는 아니지만  평균 7키로 정도씩 잡으셨네요
오늘 날씨가 춥지않아 좋았는데 예보에 없던 바람이 아침에 좀 불어서  조사님들 고생하셨고 감사합니다~

BandPhoto_2026_02_09_20_44_14_1.jpg


BandPhoto_2026_02_09_20_44_14_2.jpg


BandPhoto_2026_02_09_20_44_14_3.jpg


BandPhoto_2026_02_09_20_44_14_4.jpg


BandPhoto_2026_02_10_18_33_08_1.jpg


BandPhoto_2026_02_10_18_33_08_3.jpg


BandPhoto_2026_02_10_18_33_08_4.jpg


BandPhoto_2026_02_10_18_33_08_5.jpg


BandPhoto_2026_01_31_17_55_44_5.jpg


BandPhoto_2026_02_10_18_33_08_11.jpg


BandPhoto_2026_02_09_20_44_14_5.jpg


BandPhoto_2026_02_10_18_33_08_8.jpg


BandPhoto_2026_02_10_18_33_08_10.jpg

 






*** 고성 더이글피싱 예약 안내 ***


예약문의 : 010-5372-4344

오시는길 : 강원도 고성군 죽왕면 오호항

홈페이지 : http://theeagle.sunsang24.com/


모바일.gif


Top