조황관리HOME / 조황관리 / 상세정보

제목 : 오호항 더이글피싱 4/11토 대구라바출조
등록일 : 2026-04-11
더이글은 아침라면+선내개인쿨러제공+왕얼음+손질+진공포장
모두 무료써비스로 진행하고 있습니다

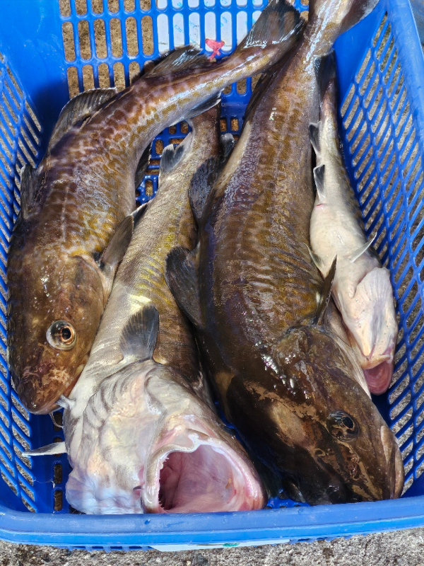
더이글피싱 함선장입니다 
오늘은 대구라바 다녀왔습니다
하루종일 바람에 파도에 고생하셨습니다
고생하신 만큼 조과가 좋았으면 좋았을텐데...
종일 낱마리 입질이였습니다
잘잡으신분이 6마리...
다행이 전원 손맛은 보셨고 겨우 찬거리 잡으셨네요~
오늘 유독 빠짐이 많았었는데요 이런날은 드랙 조절이 중요합니다~
좋지않은 기상과 조과속에 고생들 하셨고 마지막까지 너무 열심히 해주셔서 정말 감사합니다~

BandPhoto_2026_04_11_21_40_50_3.jpg


BandPhoto_2026_04_11_21_40_50_1.jpg


BandPhoto_2026_04_11_21_40_50_2.jpg


BandPhoto_2026_04_11_21_40_50_5.jpg


BandPhoto_2026_04_11_21_40_50_6.jpg


BandPhoto_2026_04_11_21_40_50_4.jpg


BandPhoto_2026_04_11_21_40_50_7.jpg


BandPhoto_2026_04_11_21_40_50_8.jpg


BandPhoto_2026_04_11_21_40_50_10.jpg


BandPhoto_2026_04_11_21_40_50_9.jpg


BandPhoto_2026_04_11_21_40_50_11.jpg


BandPhoto_2026_03_28_20_19_53_19.jpg


BandPhoto_2026_03_28_20_19_53_20.jpg
 



*** 고성 더이글피싱 예약 안내 ***


예약문의 : 010-5372-4344

오시는길 : 강원도 고성군 죽왕면 오호항

홈페이지 : http://theeagle.sunsang24.com/


모바일.gif


Top